![]() |
(Left) Approximate location of Marina City today, in the center of this 1892 Currier & Ives lithograph of Chicago. The bridge in the lower left corner is a swing bridge at Rush Street. The Michigan Avenue Bridge replaced it in 1920. Above that, at where the river starts to turn, is the present location of the State Street Bridge. |
![]() |
1892 map drawn by Henry C. Brown showing “The Canal Lots” near the Chicago River. Marina City will be located in the extreme upper right corner. |
To raise money to help build the canal, the lots were auctioned and many of the buyers were early settlers. The first owner of the future Marina City site was Dr. Alexander Wolcott, Jr. He paid $685 in cash on September 27, 1830, and died 28 days later.

(Above) Dr. Alexander Wolcott, Jr.’s receipt for his purchase of Chicago’s Block 1 in 1830. Board Canal Commissioners Edmund Roberts, Dr. Gershom Jayne, and Charles Dunn signed it. It reads: “It is hereby certified that in pursuance of Law, Alexander Wolcott, has this day purchased at public Sale, Lots number One, two, three, four, five, six, seven and eight, in block number One on the plan of the Town of Chicago, for Six Hundred and eighty-five Dollars, for which he has made payment in full.”
Wolcott was born in East Windsor, Connecticut, and graduated from Yale in 1809. He moved to Chicago in 1820 as the U.S. Government’s Indian Agent.
His predecessor, Judge Jowett, had started work on an agency house, a simple log cabin on the north side of the Chicago River near what is now North State Street. Wolcott finished the cabin, and it became the first building erected on the property. It would soon earn the nickname “Cobweb Castle” due to Wolcott’s poor housekeeping.
![]() |
On August 21, 1821, 3,000 Native Americans gathered around the cabin for the signing of a treaty giving the U.S. ownership of five million acres in southwestern Michigan. In return, the Native Americans were paid $6,000 per year (equivalent to about $160,000 today), which they collected at the agency house.
(Left) Dr. Alexander Wolcott, Jr. (1758-1828), the first owner of the future Marina City site. |
In 1823, Wolcott married Eleanor Marion Kinzie (1804-1860), who was the daughter of pioneer merchant John Kinzie. Eleanor was the first person born in Chicago who was not a Native American. John Kinzie had the only other cabin north of the Chicago River, just east of what is now Michigan Avenue.
It was the second marriage performed in Chicago. They lived at nearby Fort Dearborn, what today would be a few blocks away, from 1823 to 1828, but then returned to the cabin.
Wolcott was the first physician to live in Chicago. When he died on October 25, 1830, his will was the first will probated in Cook County. Eleanor Wolcott moved to Fort Howard in Wisconsin in 1831 and remarried in 1836.
![]() |
The next owner was Thomas Dyer (1805-1862), who was mayor of Chicago, 1856-1857, and the first president of the Chicago Board of Trade.
(Left) Thomas Dyer |
![]() |
Dyer sold the land to John S. Wright (1815-1874), a Chicago merchant and real estate investor whose fortune was wiped out twice before he formed a land company designed to interest eastern capitalists in the Midwest.
(Left) John S. Wright |
He was also editor and publisher of Prairie Farmer, the nation’s oldest farm publication. In 1835 at his expense, he built the first public school in Chicago. Shortly after the Chicago fire of 1871, Wright was committed to an asylum.
Wright paid for Block 1 in four installments over three years.
![]() |
This 1913 photo by W.J. Honston shows the Chicago Green Fruit Auction Company at far right where Marina City is now located. The company was in a two-story brick building, owned by Chicago & Northwestern Railroad, at the far south side of the rail yard. |
![]() |
1913 photo of the Chicago River looking northeast toward the State Street Bridge. Chicago Green Fruit Auction Company at far left. |
The next owner was Galena & Chicago Union Railroad, which in 1848 connected Chicago with lead mines at Galena. In 1850, the railroad was completed as far as Elgin. The population of Chicago tripled over six years around this time and the city became the largest railroad center in the world.
Galena & Chicago Union Railroad merged with several other rail lines to form Chicago & Northwestern Railroad. C&NW was a major midwestern railway system until 1995, when Union Pacific acquired it.
![]() |
An aerial photo from 1950 for the Metropolitan Planning Council showing the rail yard over which Marina City would be built. Photographed from the LaSalle-Wacker Building. Special Collections and University Archives, University of Illinois at Chicago Library. |
![]() |
View looking west from Wrigley Building in 1954 toward Wabash, State, and Dearborn Streets. Marina City will be built over the rail yard between State and Dearborn. Metropolitan Water Reclamation District of Greater Chicago. |
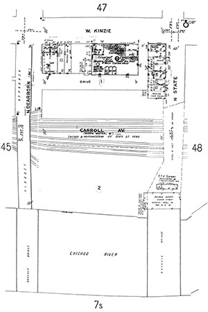
| 1951 map showing Dearborn Street (left) and State Street (right) as concrete and steel viaducts 16 feet over the Chicago & Northwestern Railway State Street Yard. The yard is on Carroll Avenue, although North Water Street is also referenced. Equipment for a CTA subway is located below State Street just north of the bridge. | ![]() |
Presented for nonprofit educational purposes









